Proposed Supa IGA Warwick expansion plan.
Proposed Supa IGA Warwick expansion plan.

$2 million IGA expansion plan

MULTI-MILLION dollar plans to expand the Supa IGA Warwick complex are in full swing.

The proposal by Warwick Central Pty Ltd was lodged with Southern Downs Regional Council on December 20 last year.

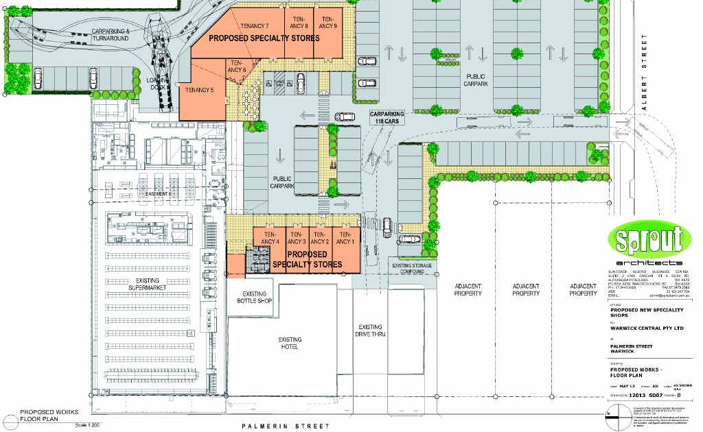
The development allows for about 820sq m of specialty shops to help complete the complex, hopefully attracting cafes and other eateries to create dozens of new jobs.

Powercat Developments director Stephen Kay said it was natural for the complex to be expanded.

"We want to offer shoppers a wide range of stores and services," Mr Kay said.

"We hope to have a coffee shop, take-away outlets and a broad range of tenants.

"We are currently taking a wide mix of tenancy applications."

Mr Kay said the construction of the new complex will also create more jobs for the local economy.

"For the project we are hoping to employ various local contractors," he said.

Councillor Neil Meiklejohn said after the application was lodged, a request for information was issued as part of the planning process.

"Council is currently waiting on more information about the development so proceedings can continue," Cr Meiklejohn said.

"It's an exciting development for Warwick because it's been a tough few years for business investors.

"It's great to see locals investing locally," he said.

Manager partner of the Supa IGA Warwick store Shane Smith said he was excited about the expansion.

"I've been working with the owners of the property," he said.

"The developers have made it a priority that easy access to parking at the front of our store is retained.

"The design has achieved this and shoppers will continue to benefit from the convenience of parking and easy access to our supermarket," he said.

Powercat Developments Pty Ltd are based in Stanthorpe and were also the developers of the original store.

The new expansion will be made on property already owned by Warwick Central Pty Ltd, using the existing car park and a spare block of land behind the current loading dock which will convert to extra parking.

The plans for the development show nine new specialty stores and also a toilet block.

These plans are yet to be approved by council.

Letters of offer and agreements to lease the specialty shops are being co-ordinated by Geoff Bonney of leasing agents Aussie Supermarket Brokers. It is hoped for construction to begin in the second part of this year, with completion early in 2014.

 

Expansion

  • Proposal for nine new specialty stores
  • 118 car parks will be available
  • Different types of specialty stores are being considered
  • No loss of access to Supa IGA Warwick
  • Local developers


WARNING: Hail, heavy rain and winds to lash Warwick

Premium Content WARNING: Hail, heavy rain and winds to lash Warwick

Wild weather is predicted to continue well into this afternoon.

Killarney’s fight to save beloved health service

Premium Content Killarney’s fight to save beloved health service

KMAC has turned to crowdfunding after unparalleled stressors in 2020. FIND OUT HOW...

500 shoppers to hit Warwick in Buy From The Bush bus trip

Premium Content 500 shoppers to hit Warwick in Buy From The Bush bus trip

Their only goal is to spend cash - and lots of it - on the Southern Downs.